_Santos-Silva.jpg)
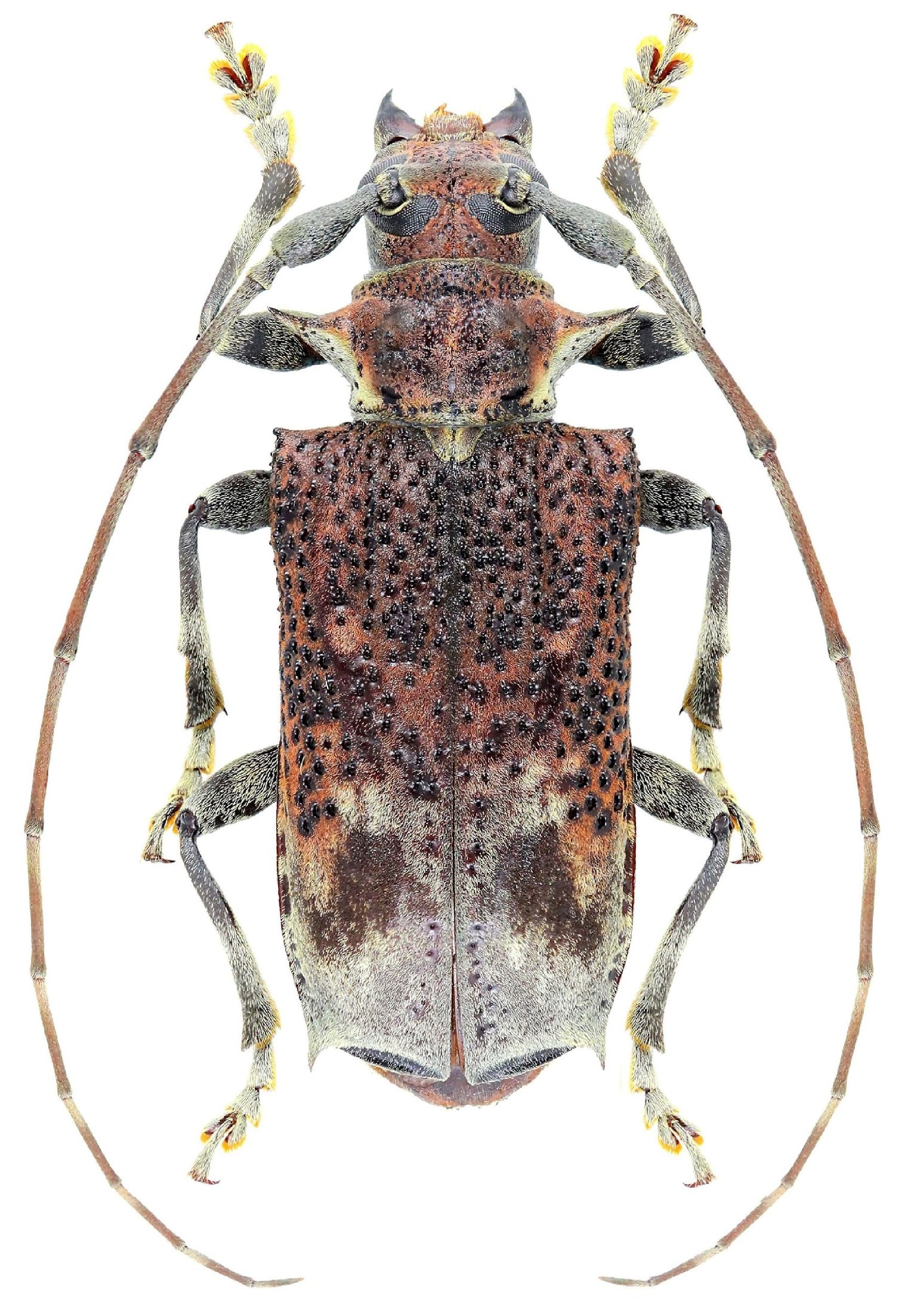
Specimen Type: holotype Sex: f Institution: MNHN Museum of Natural History Paris, France Photographer: Antonio Santos-Silva Collection Location: Piste de Kaw, French Guiana 29627
|
_Santos-Silva.jpg)
Specimen Type: holotype Sex: f Institution: MNHN Museum of Natural History Paris, France Photographer: Antonio Santos-Silva Collection Location: Piste de Kaw, French Guiana 29628
|