_Br_BMNH_Ibadan_Nigeria_KM.jpg)
Specimen Type: holotype Sex: m Institution: BMNH British Museum Natural History, London, UK Photographer: Keita Matsumoto Collection Location: Ibadan, Nigeria 70300
|
_Br_BMNH_Ibadan_Nigeria_KM.jpg)
Specimen Type: holotype Sex: m Institution: BMNH British Museum Natural History, London, UK Photographer: Keita Matsumoto Collection Location: Ibadan, Nigeria 70301
|
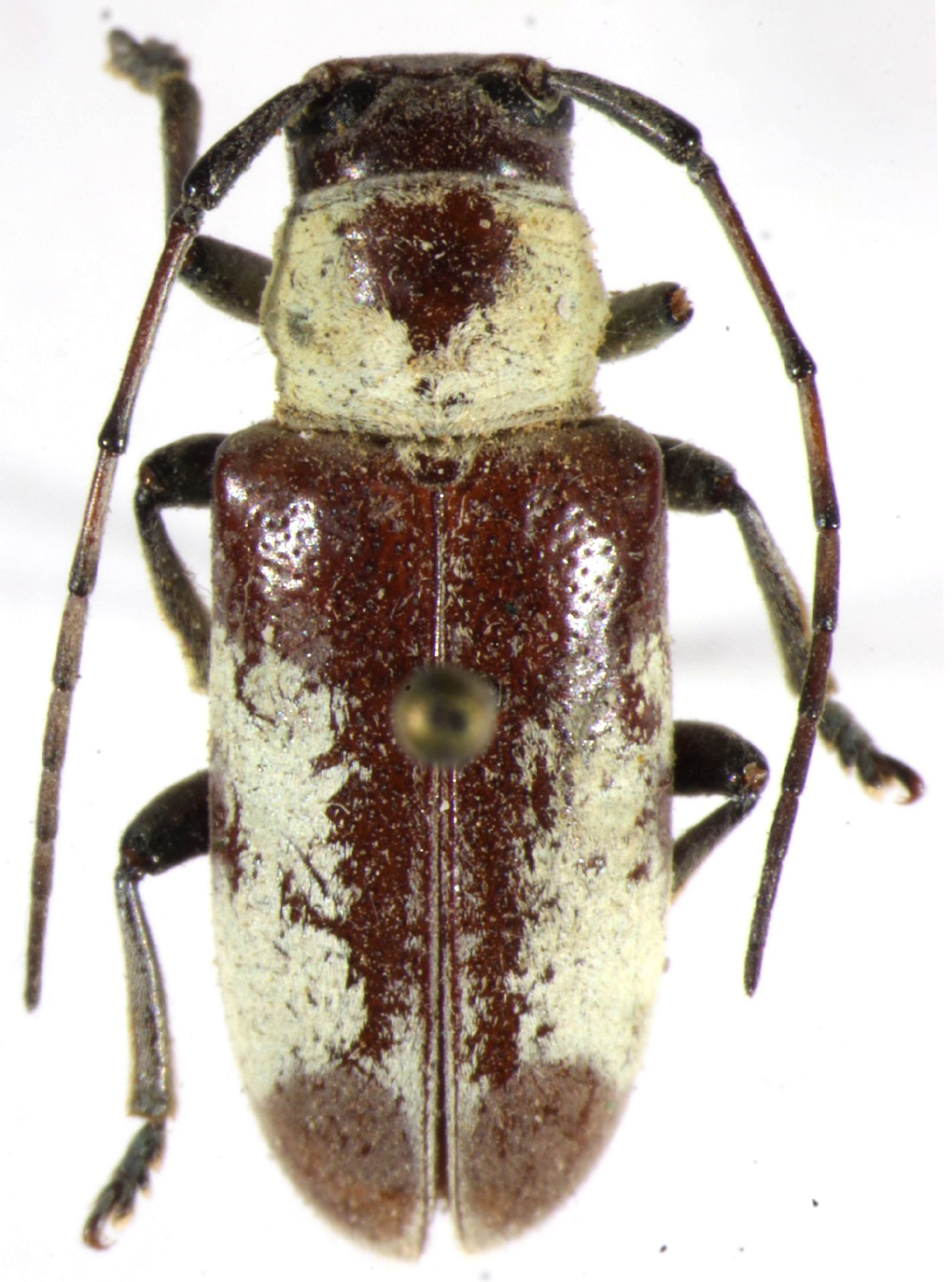
 Lepesme MNHN Dahomey, Benin now Char latefasc Sudre.jpg)
Auriolus presidentialis Lepesme Specimen Type: holotype Sex: f Institution: MNHN Museum of Natural History Paris, France Photographer: Jerome Sudre Collection Location: Dahomey, Benin 90203
|
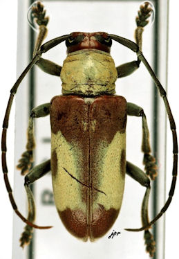
_ Breuning_Bouake_Ivory_Coast_JP_Roguet_photo.jpg)
Sex: m Photographer: JP Roguet, https://lamiinae.org Collection Location: Bouake, Ivory Coast 53954
|
_ Breuning_Bouake_Ivory_Coast_JP_Roguet_photo.jpg)
Sex: m Photographer: JP Roguet, https://lamiinae.org Collection Location: Bouake, Ivory Coast 53955
|
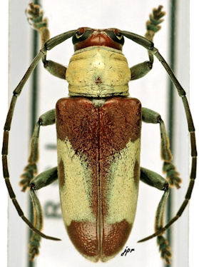
_ Breuning_Adiopodoume_Ivory_Coast_JP_Roguet_photo.jpg)
Sex: f Photographer: JP Roguet, https://lamiinae.org Collection Location: Adiopodoume, Ivory Coast 53956
|
|