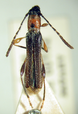
_notaticollis_(syntype)_Gounelle_MNHN_FTH.jpg)
Ommata notaticollis Gounelle Specimen Type: syntype Sex: f Institution: MNHN Museum of Natural History Paris, France Collection Location: Jatai, Goias, Brazil 17751
|

Ommata notaticollis Gounelle Specimen Type: syntype Sex: f Institution: MNHN Museum of Natural History Paris, France Collection Location: Jatai, Goias, Brazil 11137
|
_LGBC_Chacurru_Paraguay 1.jpg)
Sex: f Institution: LGBC Larry G. Bezark Collection, Sacramento, California, USA Photographer: Larry G. Bezark Collection Location: Chacurru Ecotourism, Amambay, Paraguay 69681
|
_Chacurru_LGB.jpg)
Institution: LGBC Larry G. Bezark Collection, Sacramento, California, USA Photographer: Larry G. Bezark Collection Location: Chacurru Ecotourism, Amambay, Paraguay 18910
|
|