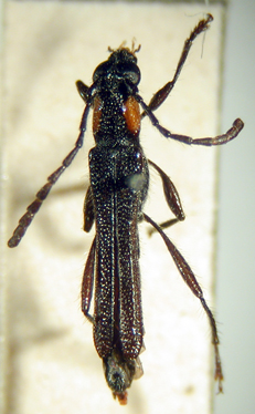
_nais_(syn)_(f)_Gounelle_MNHN_FTH.jpg)
Ommata nais Gounelle Specimen Type: syntype Sex: f Institution: MNHN Museum of Natural History Paris, France Collection Location: Jatai, Goias, Brazil 17749
|
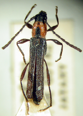
_nais_(syn)_(m)_Gounelle_MNHN_FTH.jpg)
Ommata nais Gounelle Specimen Type: syntype Sex: m Institution: MNHN Museum of Natural History Paris, France Collection Location: Jatai, Goias, Brazil 17750
|