New Search Family, Subfamily and Tribe List

SubFamily Lamiinae

Tribe Tragocephalini
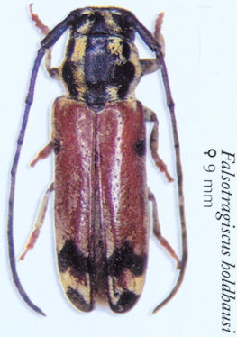
Falsotragiscus holdhausi (Itzinger, 1934)

Sex: f
Photographer: Karl Adlbauer
Collection Location: Namibia
41276

130425