_Br_CNC_Luanda_Angola_Chariesthes_Lap.jpg)
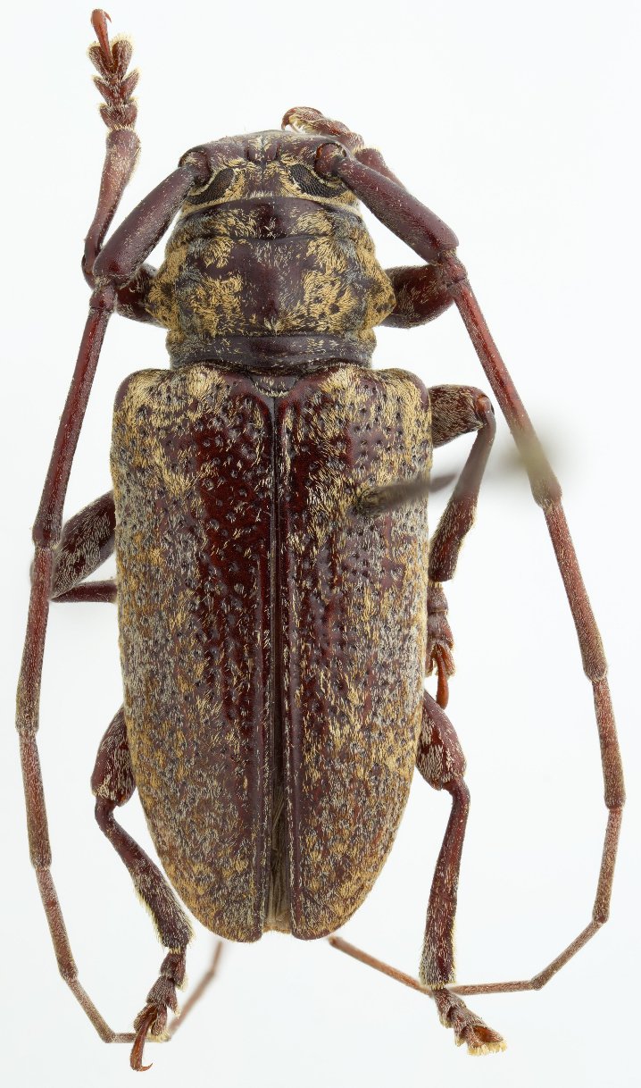
Freapomecynoides angolensis Breuning Specimen Type: holotype Institution: CNC Canadian National Collection of Insects, Ottawa, Ontario, Canada Photographer: Serge Laplante, photograph and data Determiner: Copyright of
Agriculture & Agri Food Canada Collection Location: Luanda, Angola 63172
|
_Br_CNC_Luanda_Angola_Chariesthes_Lap.jpg)
Freapomecynoides angolensis Breuning Specimen Type: holotype Institution: CNC Canadian National Collection of Insects, Ottawa, Ontario, Canada Photographer: Serge Laplante, photograph and data Determiner: Copyright of
Agriculture & Agri Food Canada Collection Location: Luanda, Angola 63173
|
_Br_CNC_Luanda_Angola_Chariesthes_Lap.jpg)
Freapomecynoides angolensis Breuning Specimen Type: holotype Institution: CNC Canadian National Collection of Insects, Ottawa, Ontario, Canada Photographer: Serge Laplante, photograph and data Determiner: Copyright of
Agriculture & Agri Food Canada Collection Location: Luanda, Angola 63174
|
_Br_CNC_Luanda_Angola_Chariesthes_Lap.jpg)
Freapomecynoides angolensis Breuning Specimen Type: holotype Institution: CNC Canadian National Collection of Insects, Ottawa, Ontario, Canada Photographer: Serge Laplante, photograph and data Determiner: Copyright of
Agriculture & Agri Food Canada Collection Location: Luanda, Angola 63175
|
|