New Search Family, Subfamily and Tribe List

SubFamily Lamiinae

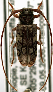
Tribe Tragocephalini
Chariesthes somaliensis Breuning 1934

Sex: f
Photographer: JP Roguet, https://lamiinae.org
Collection Location: 16 km SE Yabello, Sidamo, Ethiopia
34764


Sex: f
Photographer: JP Roguet, https://lamiinae.org
Collection Location: Gamo Goffa, 4 km SE Key Afer, Ethiopia
34765

130425