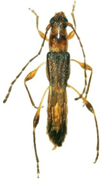
_Clarke_MNKM_5km_SSE_Buena_Vista_Santa_Cruz_Bolivia.jpg)
Specimen Type: holotype Sex: m Institution: MNKM Museo de Hist Nat Noel Kempff Mercado Santa Cruz de la Sierra, Bolivia Collection Location: 5 km SSE Buena Vista, Santa Cruz, Bolivia 29517
|
_Clarke_Santa_Cruz_Bolivia.jpg)
Specimen Type: paratype Sex: f Collection Location: Santa Cruz, Bolivia 29518
|