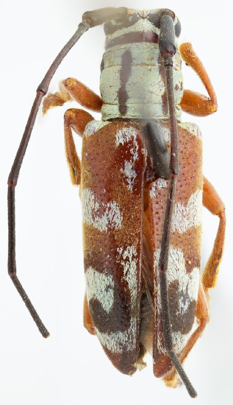
_Br_CNC_Ibadan_Nigeria_Chariesthes_amoenus_Laplante.jpg)
Scapochariesthoides viridicollis Breuning Specimen Type: holotype Institution: CNC Canadian National Collection of Insects, Ottawa, Ontario, Canada Photographer: Serge Laplante, photograph and data Determiner: Copyright of
Agriculture & Agri Food Canada Collection Location: Ibadan, Nigeria 63289
|
_Br_CNC_Ibadan_Nigeria_Chariesthes_amoenus_Laplante.jpg)
Scapochariesthoides viridicollis Breuning Specimen Type: holotype Institution: CNC Canadian National Collection of Insects, Ottawa, Ontario, Canada Photographer: Serge Laplante, photograph and data Determiner: Copyright of
Agriculture & Agri Food Canada Collection Location: Ibadan, Nigeria 63290
|
_Br_CNC_Ibadan_Nigeria_Chariesthes_amoenus_Laplante.jpg)
Scapochariesthoides viridicollis Breuning Specimen Type: holotype Institution: CNC Canadian National Collection of Insects, Ottawa, Ontario, Canada Photographer: Serge Laplante, photograph and data Determiner: Copyright of
Agriculture & Agri Food Canada Collection Location: Ibadan, Nigeria 63291
|
_Worobong_E_Ghana_LGB_Jerome_Sudre_forum.jpg)
Institution: LGBC Larry G. Bezark Collection, Sacramento, California, USA Photographer: Larry G. Bezark Determiner: Jerome Sudre, Cerambycoidea Forum Collection Location: Worobong, Eastern Ghana 46045
|
_Worobong_E_Ghana_LGB_Jerome_Sudre_forum.jpg)
Institution: LGBC Larry G. Bezark Collection, Sacramento, California, USA Photographer: Larry G. Bezark Determiner: Jerome Sudre, Cerambycoidea Forum Collection Location: Worobong, Eastern Ghana 46046
|
_CAS.jpg)
Institution: CAS California Academy of Sciences, San Francisco, CA, USA Photographer: Larry G. Bezark 34740
|
|