New Search Family, Subfamily and Tribe List

SubFamily Lamiinae

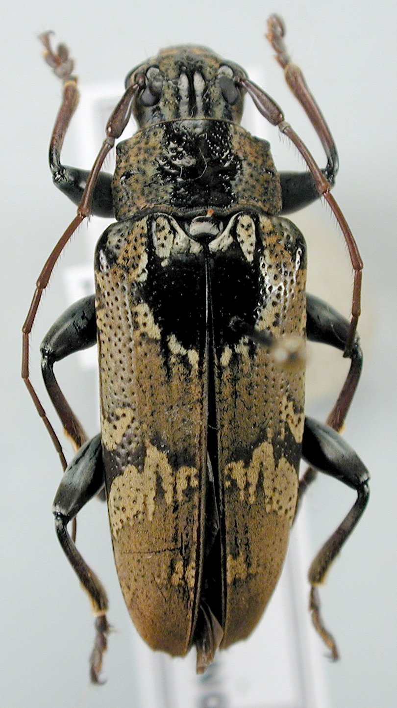
Tribe Tmesisternini
Tmesisternus pseudoviridescens Breuning 1939

Institution: JCPC Jim Cope Collection, San Jose, California, USA now at CSCA, Sacramento
Photographer: Larry G. Bezark
Determiner: Jim Cope
Collection Location: Timka, Irian Jaya, Papua New Guinea
100111

130425