_Gressitt_BPBM_Gerrit_Withaar.jpg)
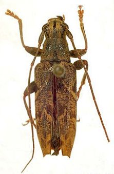
Specimen Type: holotype Sex: m Institution: BPBM Bernice P. Bishop Museum, Honolulu, Hawaii, USA Photographer: Gerrit Withaar Collection Location: Nabire, S end Cenderawasi, Geelvink Bay, Irian Jaya 64793
|

Institution: ZMA Zoölogisch Museum, Amsterdam Photographer: Gerrit Withaar Collection Location: Araucaria Camp, Papua New Guinea 64794
|