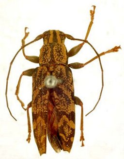
_Gahan_BMNH_Gerrit_Withaar.jpg)
Specimen Type: holotype Institution: BMNH British Museum Natural History, London, UK Photographer: Gerrit Withaar Collection Location: Mimika River, Irian Jaya 64791
|
_PNG_Gerrit_Withaar.jpg)
Institution: ZMA Zoölogisch Museum, Amsterdam Photographer: Gerrit Withaar Collection Location: Noordrivier (Lorentz River), Papua New Guinea 64792
|