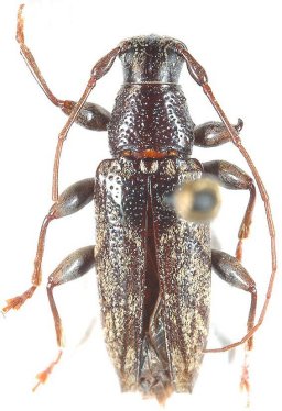
_Withaar_BPBM_1km_N_Awelkom_Umboi_Papua_New_Guinea.jpg)
Tmesisternus umboinus Withaar Specimen Type: holotype Sex: f Institution: BPBM Bernice P. Bishop Museum, Honolulu, Hawaii, USA Photographer: Gerrit Withaar Collection Location: 1 km N Awelkom, Umboi, Papua New Guinea 59379
|
_Gressitt_BPBM_Gerrit_Withaar.jpg)
Specimen Type: holotype Sex: m Institution: BPBM Bernice P. Bishop Museum, Honolulu, Hawaii, USA Photographer: Gerrit Withaar Collection Location: W Sepik Highlands, Eliptamin Valley, Papua New Guinea 64760
|
_Gressitt_BPBM_now_montanus_Gerrit_Withaar.jpg)
Tmesisternus longicollis Gressitt Specimen Type: holotype Sex: m Institution: BPBM Bernice P. Bishop Museum, Honolulu, Hawaii, USA Photographer: Gerrit Withaar Collection Location: Huon Peninsula, Kalolo, near Kabwum, Papua New Guinea 64761
|
.jpg)
Tmesisternus longicollis Gressitt Specimen Type: holotype Sex: m Institution: BPBM Bernice P. Bishop Museum, Honolulu, Hawaii, USA Photographer: Jim Cope Collection Location: Huon Peninsula, Kalolo, near Kabwum, Papua New Guinea 64762
|

Tmesisternus longicollis Gressitt Institution: BPBM Bernice P. Bishop Museum, Honolulu, Hawaii, USA Photographer: Jim Cope 64763
|

Institution: ZMA Zoölogisch Museum, Amsterdam Photographer: Gerrit Withaar Collection Location: W Sepik Highlands, Eliptamin Valley, Papua New Guinea 64764
|
|