New Search Family, Subfamily and Tribe List

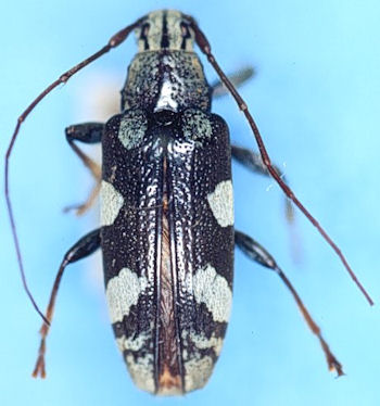
SubFamily Lamiinae

Tribe Tmesisternini
Tmesisternus lepidus Pascoe 1867

Institution: BPBM Bernice P. Bishop Museum, Honolulu, Hawaii, USA
Photographer: Jim Cope
64725


Photographer: Ben Sale, Cerambycoidea Forum
Determiner: Andreas Weigel
Collection Location: Arfak, Weatern Papua New Guinea
65049


Photographer: Philippe Jacquot, Cerambycoidea Forum
Collection Location: Indonesia
64726

130425