New Search Family, Subfamily and Tribe List

SubFamily Lamiinae

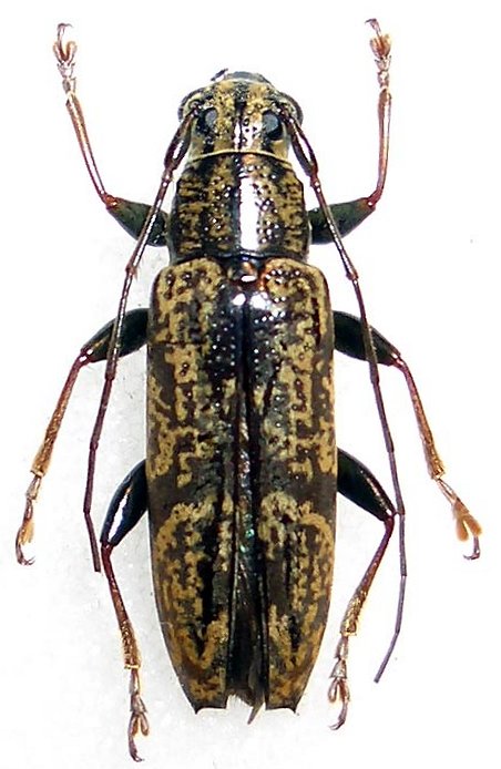
Tribe Tmesisternini
Tmesisternus griseus (Thomson, 1865)

Institution: BPBM Bernice P. Bishop Museum, Honolulu, Hawaii, USA
Photographer: Jim Cope
64667


Photographer: Sergei Troccoli, Cerambycoidea Forum
Determiner: Andreas Weigel
Collection Location: Misool Island, Molucca Islands, Indonesia
65048

130425