
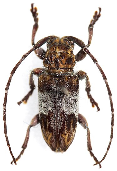
Photographer: Ben Sale, Cerambycoidea Forum Determiner: Xavier Gouverneur, Cerambycoidea Forum Collection Location: Mengueme, Central Region, Cameroon 89757
|
 Mengueme, Central Region, Cameroon Ben Sale XG id.jpg)
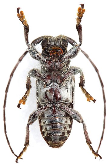
Photographer: Ben Sale, Cerambycoidea Forum Determiner: Xavier Gouverneur, Cerambycoidea Forum Collection Location: Mengueme, Central Region, Cameroon 89758
|