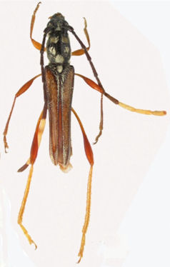
_Zajciw_MNRJ_SWL.jpg)
Ommata quinquemaculata Zajciw Specimen Type: holotype Sex: f Institution: MNRJ Museu Nacional Universidade do Rio Janeiro, Brazil Photographer: Steve Lingafelter Collection Location: Chanchamayo, Junin, Peru 11148
|
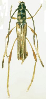
_(Zajciw).jpg)
Sex: m Photographer: Antonio Santos-Silva 29852
|

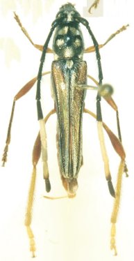
Photographer: Larry G. Bezark Determiner: Santos-Silva Collection Location: Tingo Maria, Peru 24777
|

Photographer: Larry G. Bezark Determiner: Santos-Silva Collection Location: Tingo Maria, Peru 24778
|
_Zajciw_Clarke_photo.jpg)
Sex: m Photographer: Robin Clarke 29607
|
_Zajciw_Clarke_photo.jpg)
Sex: f Photographer: Robin Clarke 29608
|