New Search Family, Subfamily and Tribe List

SubFamily Lamiinae

Tribe Saperdini
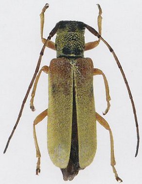
Stenostola pallida Gressitt 1951

Sex: f
Photographer: Meiying Lin
Collection Location: Qinling Mountains, China
73454

130425