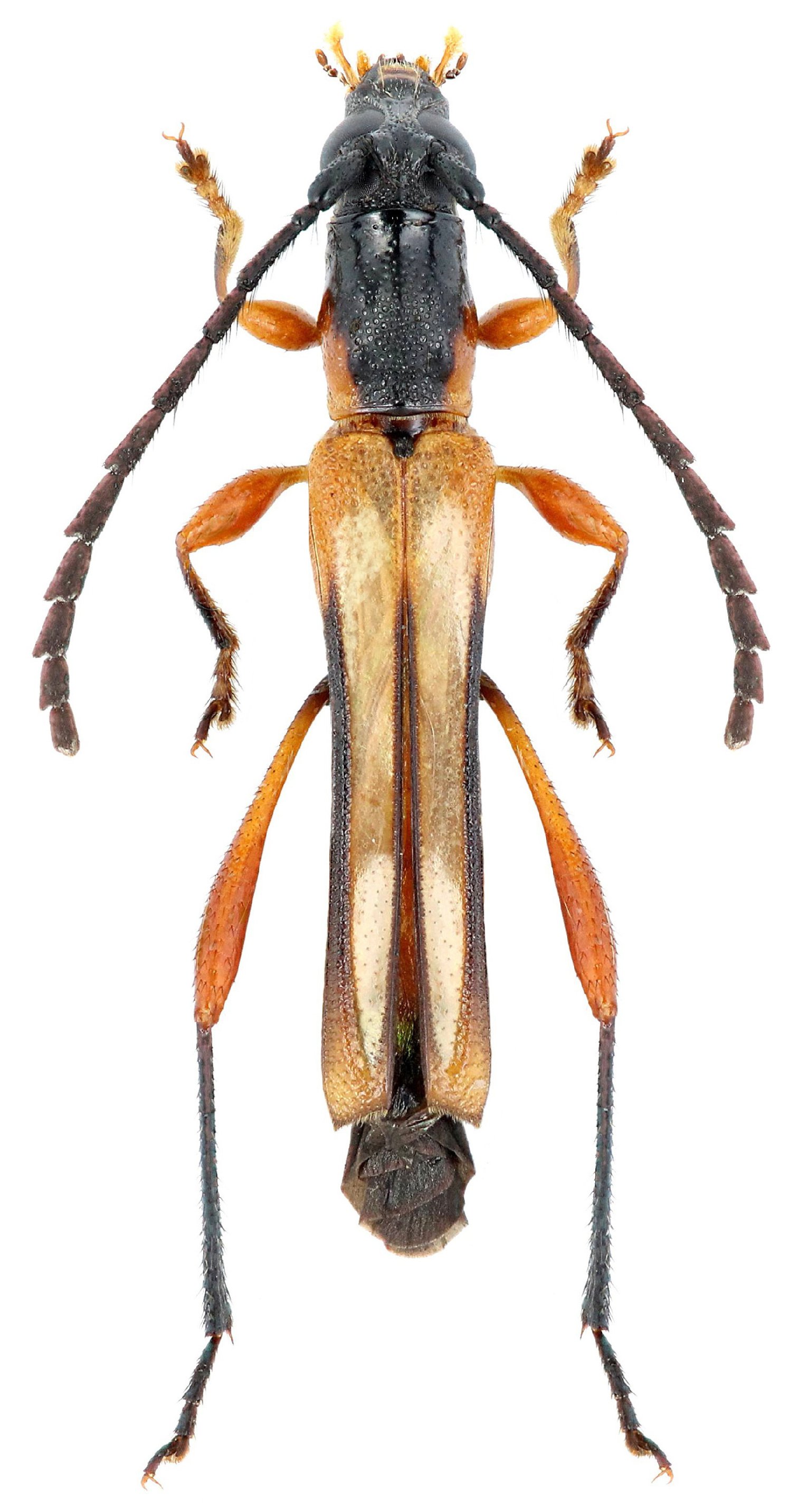
_Monne_and_Magno_MNRJ_SWL.jpg)
Specimen Type: holotype Sex: m Institution: MNRJ Museu Nacional Universidade do Rio Janeiro, Brazil Photographer: Steve Lingafelter Collection Location: Barra do Bugres, Mato Grosso, Brazil 11009
|
_Monne_and_Magno_Barra_do_Bugres_Grosso_Brazil.jpg)
Specimen Type: holotype Sex: m Institution: MNRJ Museu Nacional Universidade do Rio Janeiro, Brazil Collection Location: Barra do Bugres, Mato Grosso, Brazil 24737
|
 Monne Magno Saul, French Guiana Robin.jpg)
Photographer: Frédéric Robin Collection Location: Saul, French Guiana 28931
|

Photographer: Larry G. Bezark Determiner: Santos-Silva Collection Location: Rondonia, Brazil 23166
|

Sex: mf Photographer: Jean-Louis Giuglaris Collection Location: Belizon, French Guiana 28932
|
|