_(f)_Gounelle_MNHN_FTH.jpg)
Odontocera soror Gounelle Specimen Type: syntype Sex: f Institution: MNHN Museum of Natural History Paris, France Collection Location: Jatai, Goias, Brazil 17699
|
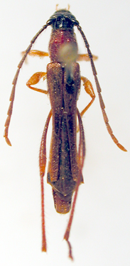
_(m)_Gounelle_MNHN_FTH.jpg)
Odontocera soror Gounelle Specimen Type: syntype Sex: m Institution: MNHN Museum of Natural History Paris, France Collection Location: Jatai, Goias, Brazil 17700
|