_White_BMNH_Santarem_Para_Brazil_LGB.jpg)
Specimen Type: holotype Sex: m Institution: BMNH British Museum Natural History, London, UK Photographer: Larry G. Bezark Collection Location: Santarem, Para, Brazil 47122
|
_White_BMNH_Hespenheide_FTH.jpg)
Specimen Type: holotype Sex: m Institution: BMNH British Museum Natural History, London, UK Photographer: Henry Hespenheide Collection Location: Santarém, Para, Brazil 17690
|
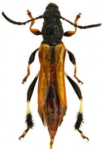
_White_BMNH_Demerara_River_French_Guiana_now_poecilopoda_LGB.jpg)
Odontocera basalis White Specimen Type: syntype Sex: f Institution: BMNH British Museum Natural History, London, UK Photographer: Larry G. Bezark Collection Location: Demerara River, French Guiana 47123
|
_Aurivillius_BMNH_Hespenheide_FTH_=_Odontocera_poecilopoda_White.jpg)
Odontocera basalis Aurivillius Specimen Type: syntype Sex: f Institution: BMNH British Museum Natural History, London, UK Photographer: Henry Hespenheide Collection Location: Demerara River, Pinland of Canaan, E. B., French Guiana 17656
|

Photographer: Denis Faure Collection Location: French Guiana 22159
|

Photographer: Jean-Louis Giuglaris Collection Location: Kaw, French Guiana 28928
|
|