New Search Family, Subfamily and Tribe List

SubFamily Lamiinae

Tribe Hemilophini
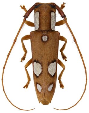
Purusiella hippomontanensis Dalens, Touroult & Tavakilian 2010

Specimen Type: paratype
Sex: f
Collection Location: French Guiana
29687


Specimen Type: paratype
Sex: f
Collection Location: French Guiana
29688


Specimen Type: paratype
Sex: m
Collection Location: French Guiana
29689


Specimen Type: paratype
Sex: m
Collection Location: French Guiana
29690

130425