_G_and_M_MNKM_Potrerillo_del_Guenda_SC_Bolivia.jpg)
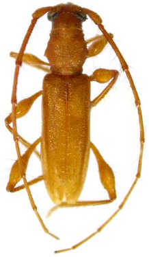
Specimen Type: holotype Sex: m Institution: MNKM Museo de Hist Nat Noel Kempff Mercado Santa Cruz de la Sierra, Bolivia Photographer: Maria Helena Galileo Collection Location: Potrerillo del Guenda, Santa Cruz, Bolivia 29691
|

Photographer: Jim Wappes Collection Location: Bolivia 42523
|