New Search Family, Subfamily and Tribe List

SubFamily Cerambycinae

Tribe Elaphidiini
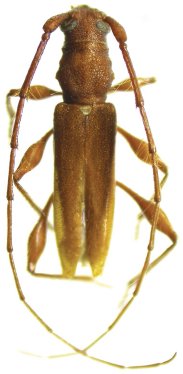
Cotyperiboeum antennarium Galileo & Martins 2010

Specimen Type: holotype
Sex: m
Institution: MNKM Museo de Hist Nat Noel Kempff Mercado Santa Cruz de la Sierra, Bolivia
Collection Location: Potrerillo del Guenda, Santa Cruz, Bolivia
29550

130425