New Search Family, Subfamily and Tribe List

SubFamily Cerambycinae

Tribe Eburiini
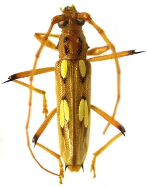
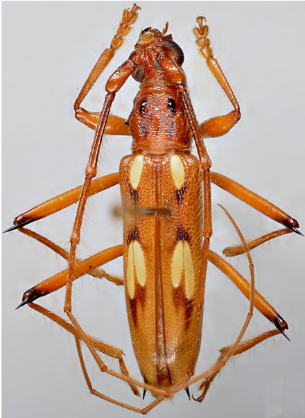
Eburodacrys fraterna Galileo & Martins 2010

Specimen Type: holotype
Sex: f
Institution: MNKM Museo de Hist Nat Noel Kempff Mercado Santa Cruz de la Sierra, Bolivia
Collection Location: Buena Vista, Santa Cruz, Bolivia
29552


Sex: m
Photographer: Juan Pablo Botero
63400

130425