_Bates_MNHN_FTH.jpg)
Specimen Type: holotype Sex: m Institution: MNHN Museum of Natural History Paris, France Collection Location: Santarém, Para, Brazil 17687
|

Photographer: Larry G. Bezark 10989
|

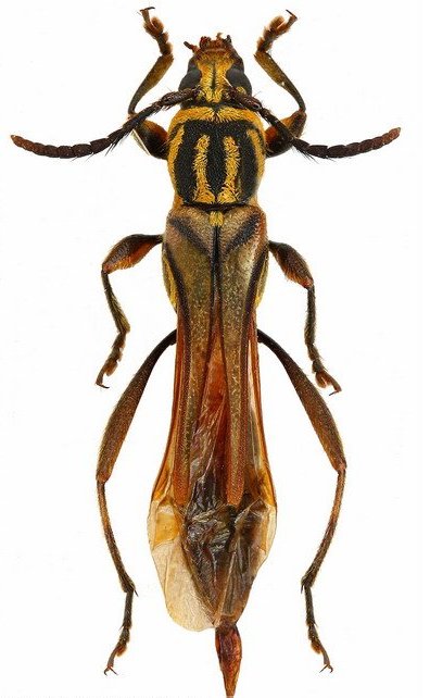
Photographer: Denis Faure Collection Location: French Guiana 22158
|

Photographer: Jean-Louis Giuglaris Collection Location: Kaw, French Guiana 68094
|
|