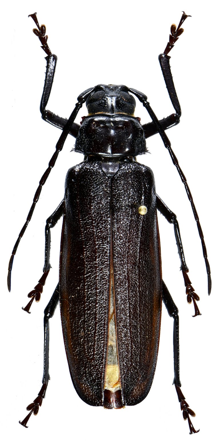
_Gressitt_China_USNM.jpg)
Macrotoma hainana Gressitt Specimen Type: holotype Sex: m Institution: NMNH United States National Museum, Washington, DC, USA Photographer: Steve Lingafelter Collection Location: Dwa-Bi (Tai-pin), near Loi Mother Mountain, Central Hainan Island 52008
|
_(Gressitt_Daxue_Shan_Yongde_Yunnan_China_Jingke_Li.jpg)
Sex: m Photographer: Jingke Li Collection Location: Daxue Shan, Yongde, Yunnan Province, China 74784
|