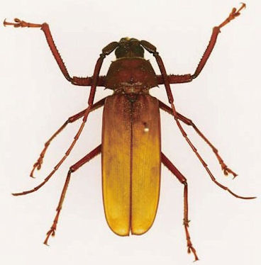
_Vietnam_SWL.jpg)
Photographer: Steve Lingafelter Collection Location: Vietnam 52016
|
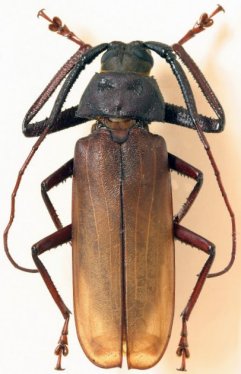
 Doi Pui, Chiang Mai, Thailand JCPC LGB.jpg)
Institution: JCPC Jim Cope Collection, San Jose, California, USA now at CSCA, Sacramento Photographer: Larry G. Bezark Determiner: Jim Cope Collection Location: Doi Pui, Chiang Mai, Thailand 98162
|