New Search Family, Subfamily and Tribe List

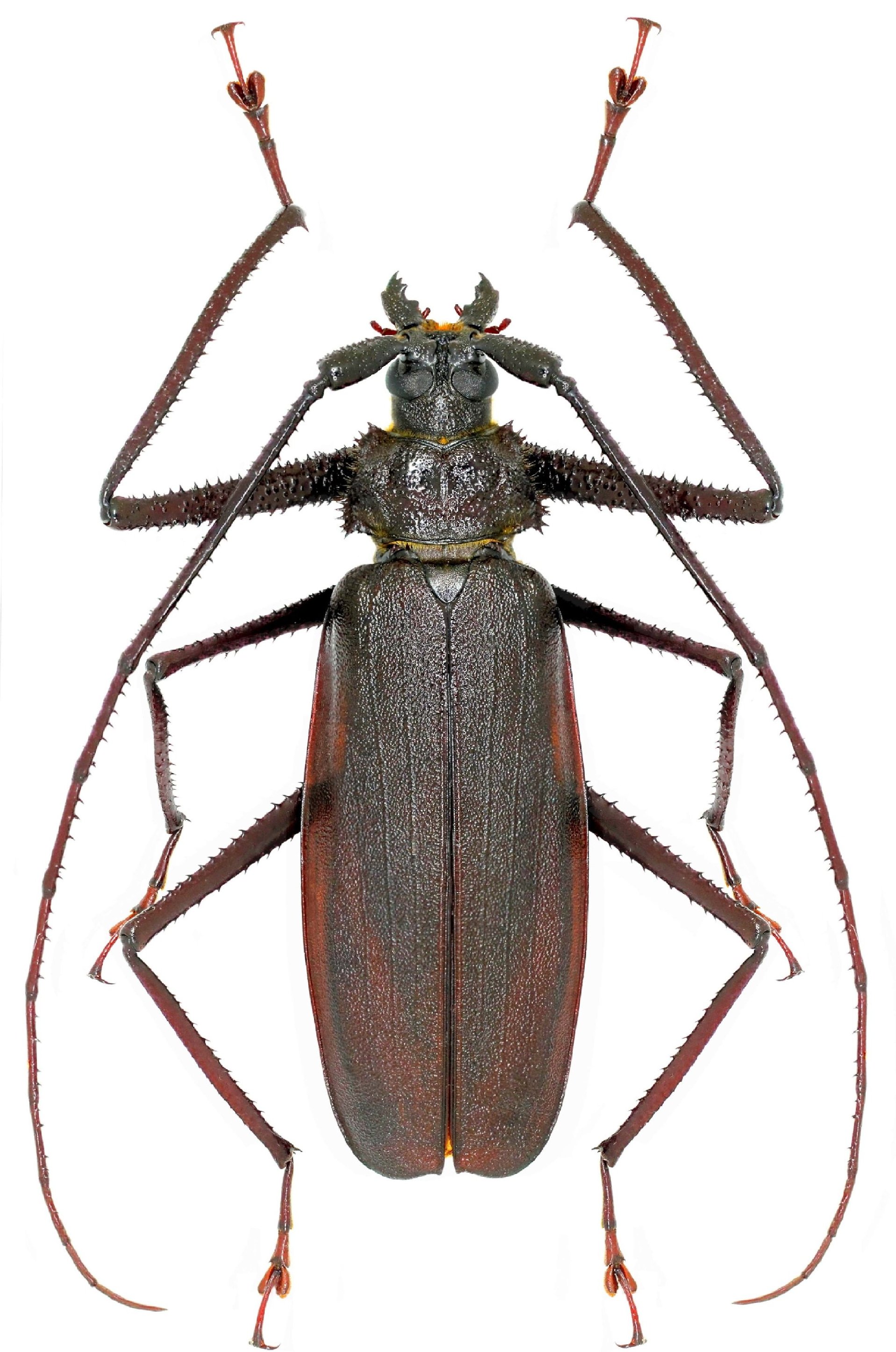
SubFamily Prioninae

Tribe Macrotomini
Macrotoma hayesii (Hope, 1833)

Sex: m
Photographer: Frédéric Robin
Collection Location: Sao Tome & Principe
79264

130425