New Search Family, Subfamily and Tribe List

SubFamily Prioninae

Tribe Macrotomini
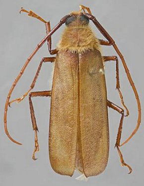
Erioderus pallens Fabricius 1798

Sex: m
Photographer: Nathan P. Lord
49648


Institution: LGBC Larry G. Bezark Collection, Sacramento, California, USA
Photographer: Larry G. Bezark
39053

130425