New Search Family, Subfamily and Tribe List

SubFamily Lamiinae

Tribe Colobotheini
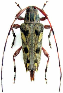
Colobothea dostalbergeri Schmid 2010

Specimen Type: holotype
Sex: f
Institution: HS Herbert Schmid Collection, Vienna, Austria
Collection Location: Sierra de Tartagal, Salta, Argentina
29535


Photographer: Jim Wappes
Collection Location: Bolivia
42098

130425