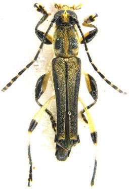
_Bates_MNHN_FTH_=_Odontocera_colon.jpg)
Agaone colon Bates Specimen Type: holotype Sex: m Institution: MNHN Museum of Natural History Paris, France Collection Location: Para, Brazil 15062
|
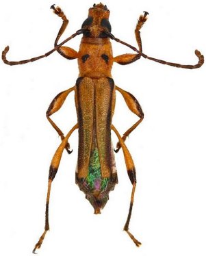
_Fr_Guiana_JLG2.jpg)
Photographer: Jean-Louis Giuglaris Collection Location: French Guiana 36845
|
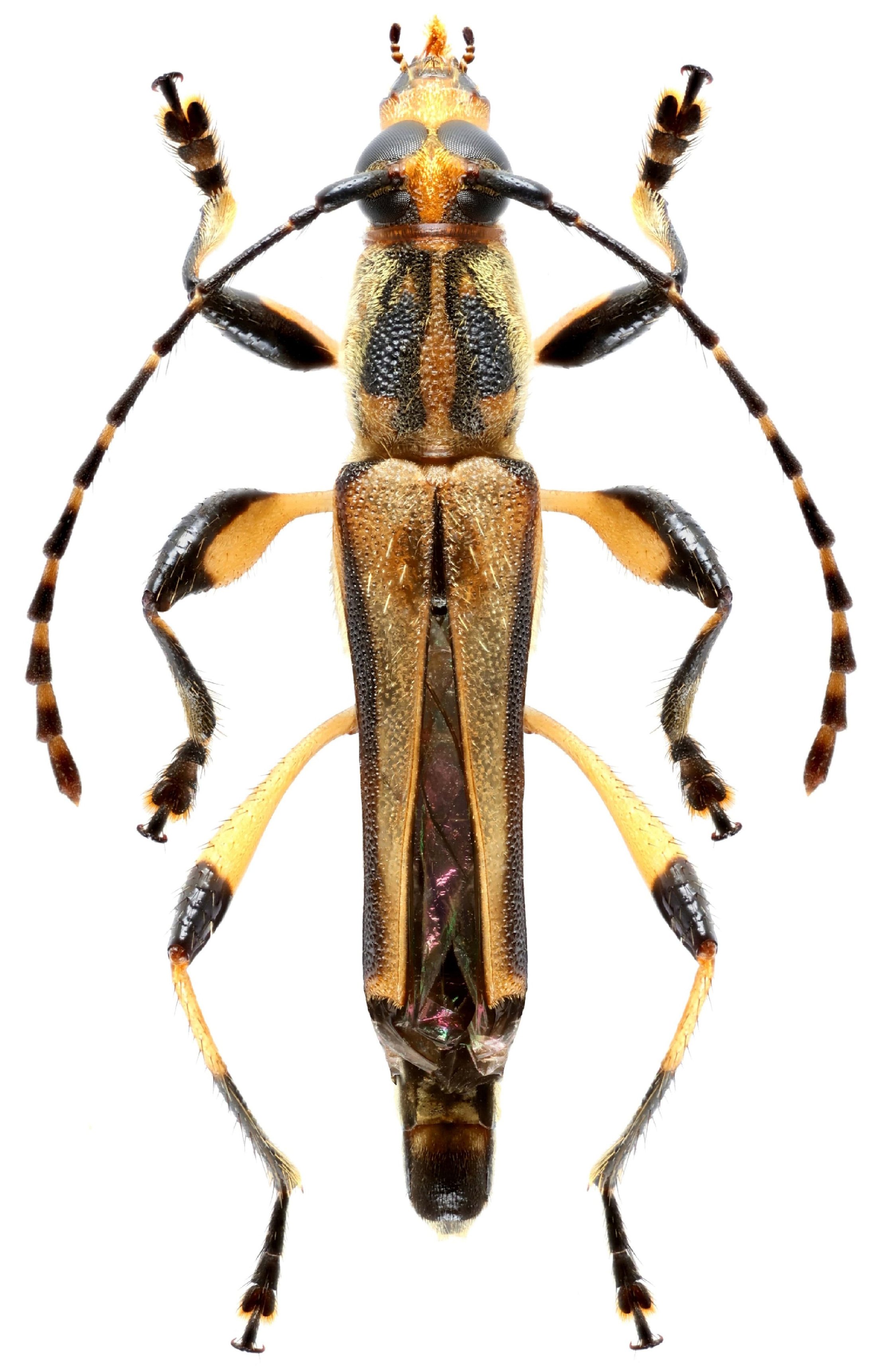
_Patawa_Fr_G_det_OM_LGB.jpg)
Institution: LGBC Larry G. Bezark Collection, Sacramento, California, USA Photographer: Larry G. Bezark Determiner: Odette Morvan Collection Location: Patawa, Kaw Mtns, French Guiana 72147
|
_(Bates)_Patawa_Fr_G_det_OM_LGB.jpg)
Institution: LGBC Larry G. Bezark Collection, Sacramento, California, USA Photographer: Larry G. Bezark Determiner: Odette Morvan Collection Location: Patawa, Kaw Mtns, French Guiana 72148
|

Photographer: Jean-Louis Giuglaris Collection Location: Belizon, French Guiana 28926
|
_Tavakilian_and_Penaherrera-Leiva_French_Guiana_Coleopteres.jpg)
Odontocera morii Tavakilian & Penaherrera-Leiva Collection Location: French Guiana 23118
|

Photographer: Denis Faure Collection Location: French Guiana 22153
|
 Bates Roche Dachine, Saul, French Guiana Robin.jpg)
Sex: m Photographer: Frédéric Robin Collection Location: Roche Dachine, Saul, French Guiana 90801
|

Photographer: Jean-Louis Giuglaris Collection Location: French Guiana 36846
|