
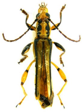
Photographer: Larry G. Bezark Determiner: Clarke Collection Location: Bolivia 27584
|

Photographer: Larry G. Bezark Determiner: Clarke Collection Location: Bolivia 27585
|

Institution: LGBC Larry G. Bezark Collection, Sacramento, California, USA Photographer: Larry G. Bezark Determiner: Odette Morvan Collection Location: 36 km SE Roura, Patawa, French Guiana 61155
|

Institution: LGBC Larry G. Bezark Collection, Sacramento, California, USA Photographer: Larry G. Bezark Determiner: Odette Morvan Collection Location: 36 km SE Roura, Patawa, French Guiana 61156
|
_Det_Santos-Silva_LGB.jpg)
Photographer: Larry G. Bezark Determiner: Santos-Silva Collection Location: Rondonia, Brazil 24731
|
_Det_Santos-Silva_LGB.jpg)
Photographer: Larry G. Bezark Determiner: Santos-Silva Collection Location: Rondonia, Brazil 24732
|
_White_Huanuco_Peru_LGB.jpg)
Institution: LGBC Larry G. Bezark Collection, Sacramento, California, USA Photographer: Larry G. Bezark Collection Location: Huanuco, Peru 23122
|
 Bates Saul, French Guiana Robin.jpg)
Sex: f Photographer: Frédéric Robin Collection Location: Saul, French Guiana 79334
|
 Bates Ramirez Coll Pebas, Rio Amazonas, Loreto, Peru SS.jpg)
Sex: f Institution: Ramirez Collection Photographer: Antonio Santos-Silva Collection Location: Pebas, Rio Amazonas, Loreto, Peru 100681
|

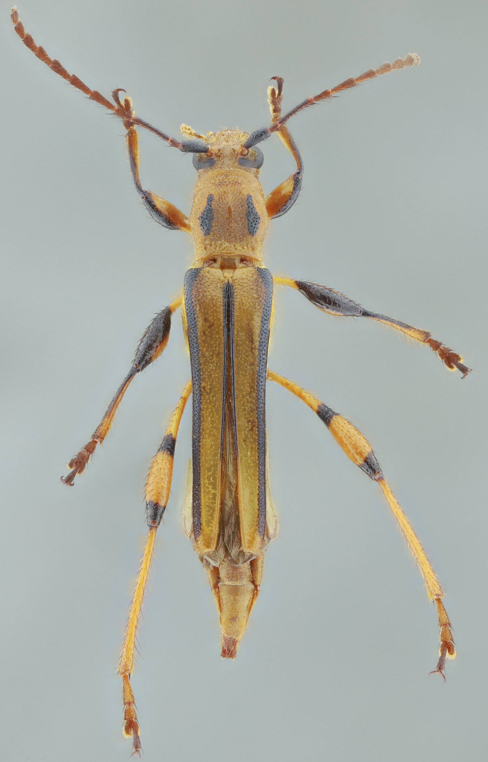
Photographer: Jim Wappes Collection Location: Bolivia 10942
|

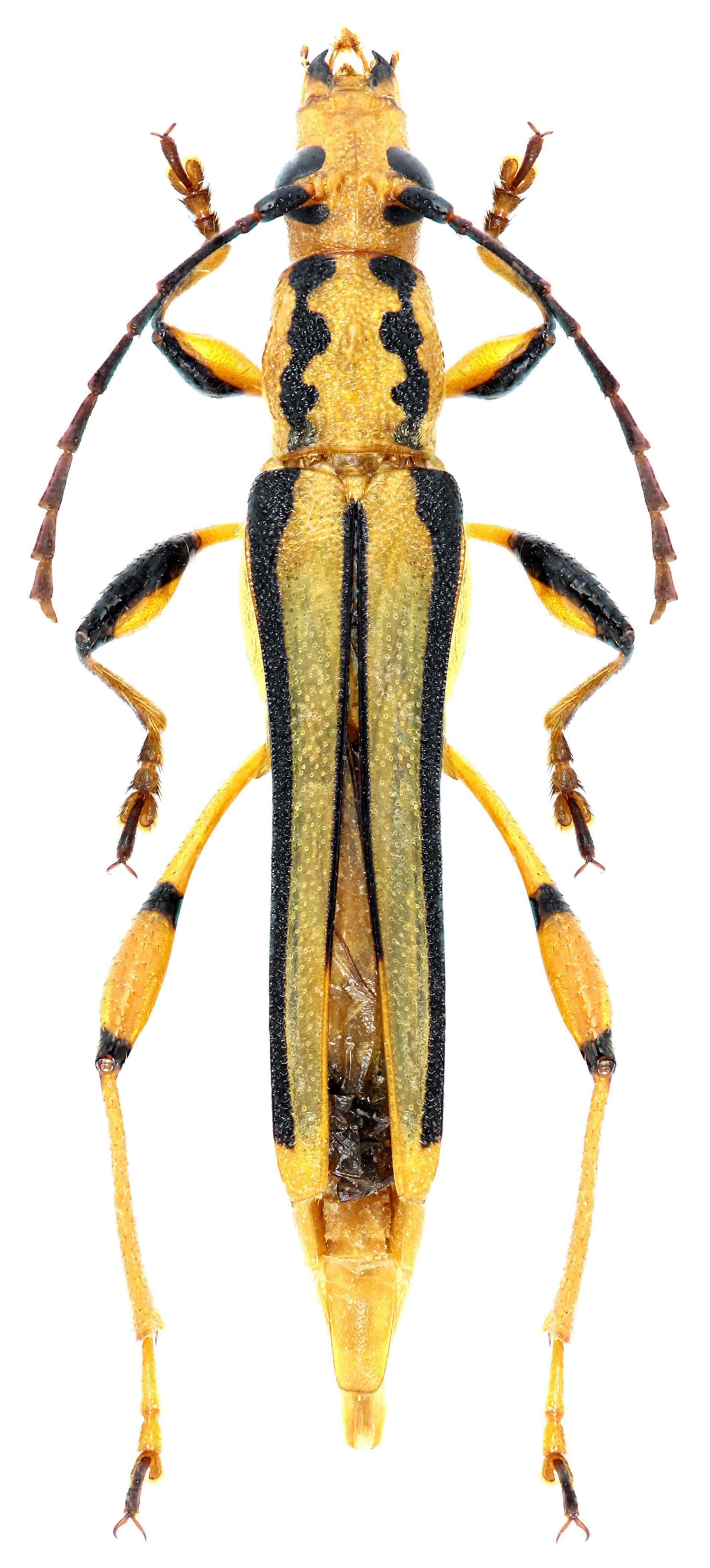
Photographer: Jean-Louis Giuglaris Collection Location: Belizon, French Guiana 28921
|