New Search Family, Subfamily and Tribe List

SubFamily Lamiinae

Tribe Saperdini
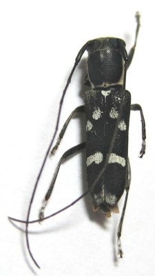
Menesia makilingi (Heller, 1924)

Photographer: Bill Tyson
Determiner: Xavier Gouverneur, Cerambycoidea Forum
Collection Location: Samar, Philippines
81502

130425