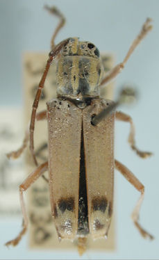
 homonospila Thomson_T.jpg)
Specimen Type: holotype Institution: MNHN Museum of Natural History Paris, France Photographer: Meiying Lin Collection Location: Asia Orientale 67300
|
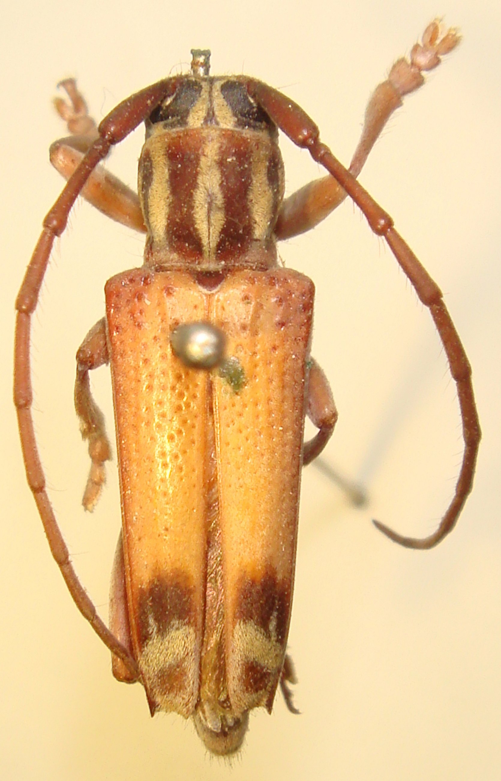
_homonospila_Thomson_Det_Gardner_CAS.jpg)
Institution: CAS California Academy of Sciences, San Francisco, CA, USA Photographer: Larry G. Bezark Determiner: Gardner 46100
|