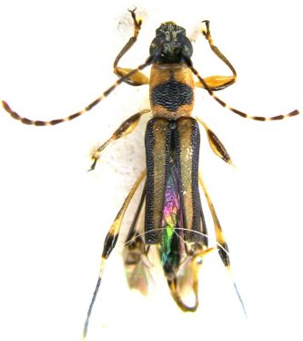
_Magno_MNRJ_SWL.jpg)
Specimen Type: holotype Sex: f Institution: MNRJ Museu Nacional Universidade do Rio Janeiro, Brazil Photographer: Steve Lingafelter Collection Location: Sinop, Mato Grosso, Brazil 10926
|
_Magno_MNRJ_SWL.jpg)
Specimen Type: holotype Sex: f Institution: MNRJ Museu Nacional Universidade do Rio Janeiro, Brazil Photographer: Steve Lingafelter Collection Location: Sinop, Mato Grosso, Brazil 10927
|