
Institution: LGBC Larry G. Bezark Collection, Sacramento, California, USA Photographer: Larry G. Bezark Collection Location: Obout, Centre, Cameroon 50069
|
_Uganda_Vitali_Nagirnyi.jpg)
Photographer: Vitali Nagirnyi, Cerambycoidea Forum Collection Location: Uganda 50070
|
_Togo_EnricoR.jpg)
Photographer: Enrico R, Cerambycoidea Forum Collection Location: Togo 50071
|

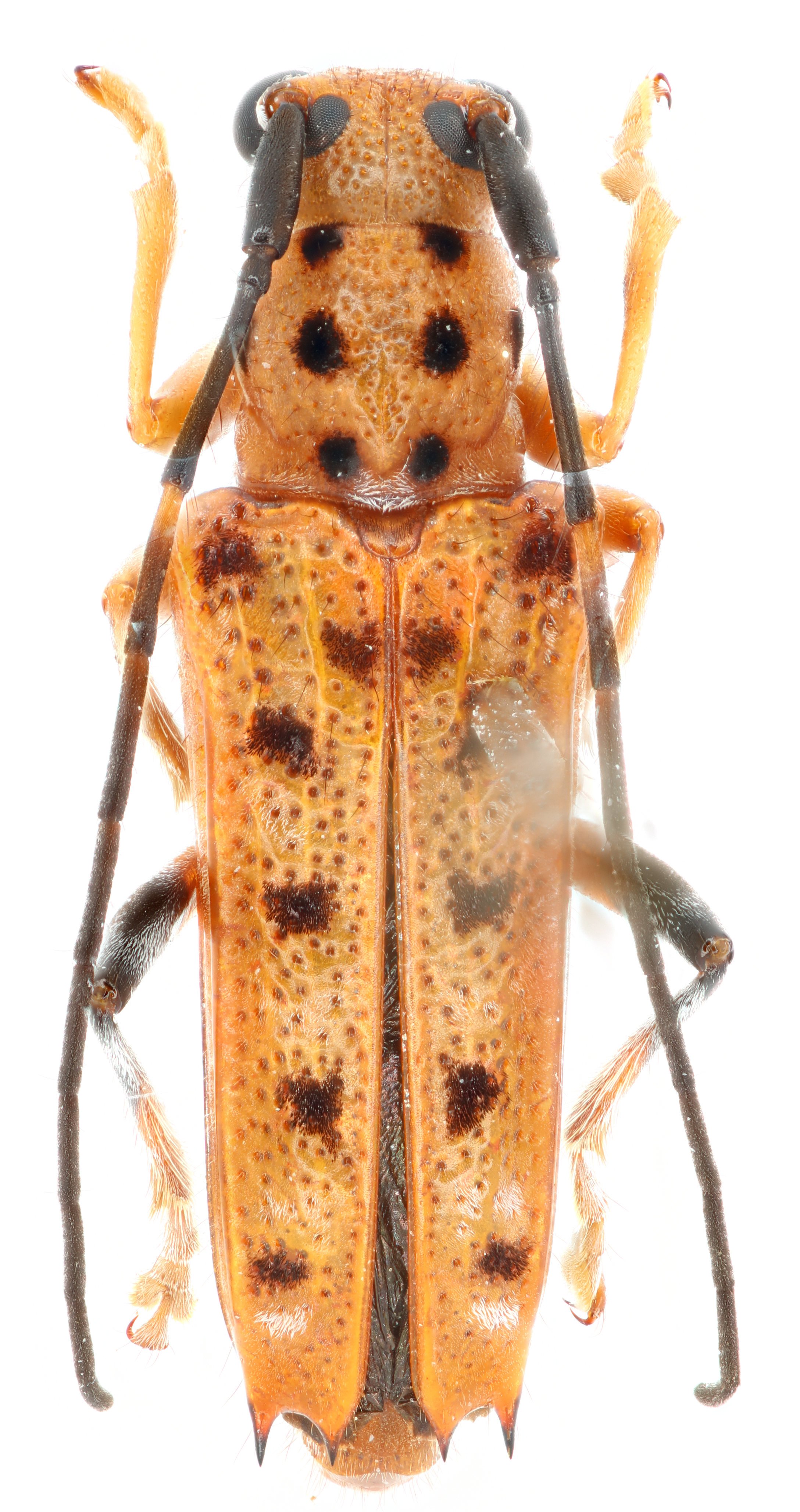
Institution: MNHN Museum of Natural History Paris, France Photographer: Andreas Weigel Collection Location: Gabon 67759
|

Institution: BMNH British Museum Natural History, London, UK Photographer: Keita Matsumoto Collection Location: Guinea 72162
|
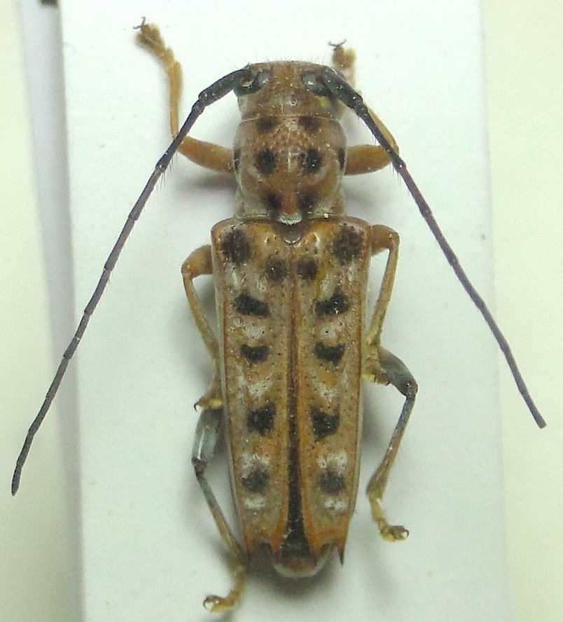
 Benin Alain Coache.jpg)
Photographer: Alain Coache Collection Location: Benin 77110
|
|