_Auriv_Lin_and_Yang_pic.jpg)
Specimen Type: lectotype Sex: m Institution: MNHN Museum of Natural History Paris, France Photographer: Lin & Yang Collection Location: Hoa-Binh, Tonkin, Vietnam 42777
|
_Aurivillius_Tonkin_Vietnam_Meiying.jpg)
Specimen Type: paralectotype Sex: f Institution: IRSNB Royal Belgian Institute of Natural Sciences, Brussels, Belgium Photographer: Lin & Yang Collection Location: Hoa-Binh, Tonkin, Vietnam 42778
|
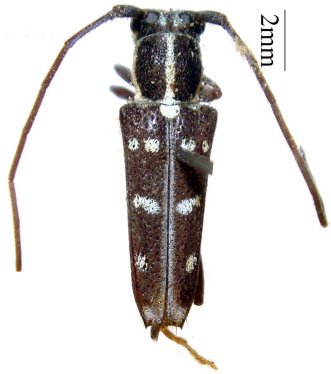
_Breuning_Meiying.jpg)
Glenea tonkinea apicetruncata Breuning Specimen Type: holotype Sex: m Institution: NHMB Naturhistorisches Museum, Basel, Switzerland Photographer: Meiying Lin Collection Location: Mt Mauson, Tonkin, Vietnam 42779
|

Glenea tonkinea m. basirufofemorata Breuning Photographer: Meiying Lin 67960
|
_tonkinea_Aurivillius_CAS.jpg)
Institution: CAS California Academy of Sciences, San Francisco, CA, USA Photographer: Larry G. Bezark 48069
|

Photographer: Steve Lingafelter Collection Location: Tam Dao, Vinh Phuc Province, Vietnam 49973
|

Institution: LGBC Larry G. Bezark Collection, Sacramento, California, USA Photographer: Larry G. Bezark Collection Location: Ba Be, Bac Kan, Vietnam 41054
|

Institution: LGBC Larry G. Bezark Collection, Sacramento, California, USA Photographer: Larry G. Bezark Collection Location: Ba Be, Bac Kan, Vietnam 41055
|

Institution: LGBC Larry G. Bezark Collection, Sacramento, California, USA Photographer: Larry G. Bezark Collection Location: Ba Be, Bac Kan, Vietnam 41056
|

Institution: LGBC Larry G. Bezark Collection, Sacramento, California, USA Photographer: Larry G. Bezark Collection Location: Ba Be, Bac Kan, Vietnam 41057
|

Institution: BPBM Bernice P. Bishop Museum, Honolulu, Hawaii, USA Photographer: Jim Cope Collection Location: Hainan Island 48070
|
|