New Search Family, Subfamily and Tribe List

SubFamily Cerambycinae

Tribe Rhinotragini
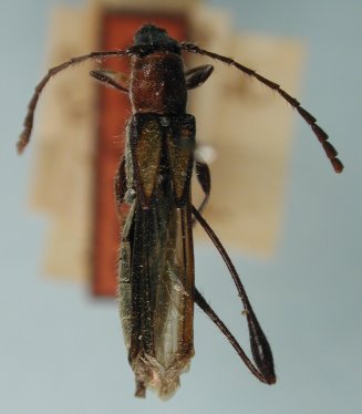
Neophygopoda tibialis Melzer 1933

Specimen Type: holotype
Sex: f
Institution: MACN Museo Argentina de Ciencias Naturales, Buenos Aires, Argentina
Photographer: Larry G. Bezark
Collection Location: Tucuman, Argentina
33645


Photographer: Jim Wappes
Collection Location: Bolivia
42345

130425