
Glenea signatifrons bistrimaculata Pic Specimen Type: holotype Institution: MNHN Museum of Natural History Paris, France Photographer: Meiying Lin Collection Location: Sumatra 67614
|
_Gahan_BMNH_Sumatra_Indonesia_LGB.jpg)
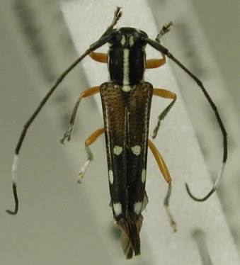
Specimen Type: syntype Institution: BMNH British Museum Natural History, London, UK Photographer: Larry G. Bezark Collection Location: Sumatra, Indonesia 47966
|
_Gahan_BMNH_Sumatra_Indonesia_LGB.jpg)
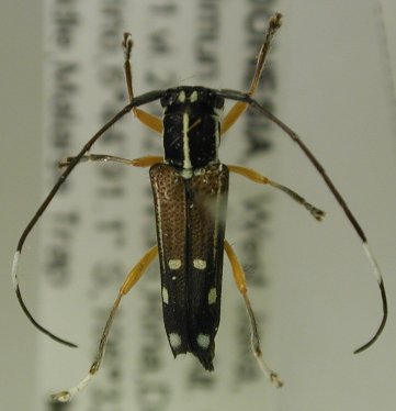
Specimen Type: syntype Institution: BMNH British Museum Natural History, London, UK Photographer: Larry G. Bezark Collection Location: Sumatra, Indonesia 47967
|
_Gahan_BMNH_Sumatra_Indonesia_LGB.jpg)
Specimen Type: syntype Institution: BMNH British Museum Natural History, London, UK Photographer: Larry G. Bezark Collection Location: Sumatra, Indonesia 47968
|

Institution: BPBM Bernice P. Bishop Museum, Honolulu, Hawaii, USA Photographer: Jim Cope Collection Location: East Java 41725
|

Institution: LIPI Lembaga Ilmu Pengetahuan, Bogor, Indonesia Photographer: Larry G. Bezark Collection Location: Mt Halimun Salak National Park, West Java 43700
|

Institution: LIPI Lembaga Ilmu Pengetahuan, Bogor, Indonesia Photographer: Larry G. Bezark Collection Location: Mt Halimun Salak National Park, West Java 43701
|

Institution: LIPI Lembaga Ilmu Pengetahuan, Bogor, Indonesia Photographer: Larry G. Bezark Collection Location: Mt Halimun Salak National Park, West Java 43702
|

Institution: LIPI Lembaga Ilmu Pengetahuan, Bogor, Indonesia Photographer: Larry G. Bezark Collection Location: Mt Halimun Salak National Park, West Java 43703
|
_signatifrons_(f)_antereducta_Br_Java_Baturaden.jpg)
Glenea signatifrons antereducta Breuning Sex: f Photographer: Makihara Collection Location: Baturaden, Java 41723
|
_signatifrons_Gahan_W._Java_Makihara.jpg)
Photographer: Makihara Collection Location: West Java 41724
|

Photographer: Meiying Lin 67613
|