
Institution: CAS California Academy of Sciences, San Francisco, CA, USA Photographer: Larry G. Bezark 8832
|

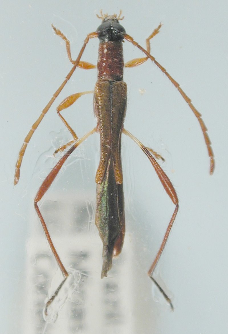
Institution: LGBC Larry G. Bezark Collection, Sacramento, California, USA Photographer: Larry G. Bezark Collection Location: Conceicao, Minas Gerais, Brazil 95786
|