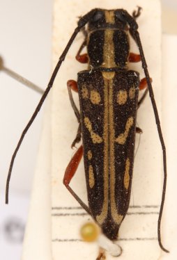
_Breuning_Cope.jpg)
Specimen Type: holotype Sex: m Photographer: Jim Cope Collection Location: Phou Khao Khoay, Vientiane, Laos 49861
|
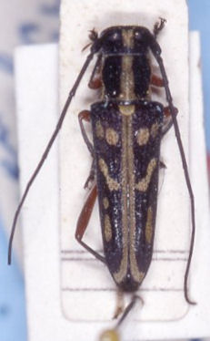
_Breuning_BPBM_Nobuo_Ohbay.jpg)
Specimen Type: holotype Sex: m Institution: BPBM Bernice P. Bishop Museum, Honolulu, Hawaii, USA Photographer: Nobuo Ohbayashi Collection Location: Phou Khao Khoay, Vientiane, Laos 44601
|