_pieliana_pieliana_(a)_Gressitt_CAS.jpg)
Specimen Type: allotype Institution: CAS California Academy of Sciences, San Francisco, CA, USA Photographer: Larry G. Bezark 48053
|

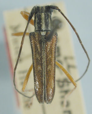
Specimen Type: allotype Institution: CAS California Academy of Sciences, San Francisco, CA, USA Photographer: Jim Cope Collection Location: China 49844
|