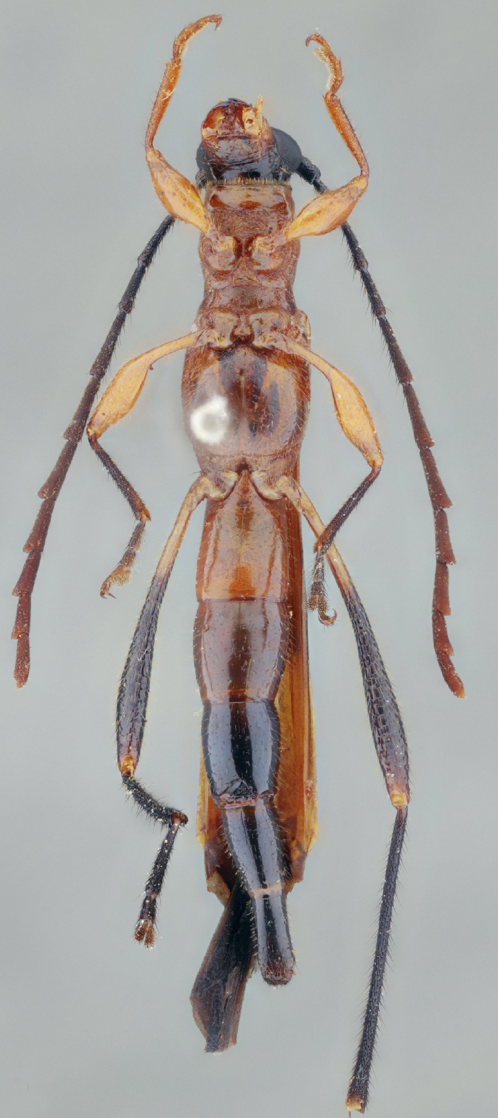
 Zajciw MNRJ Parque Sooretama, Espirito Santo, Brazil SS.jpg)
Specimen Type: holotype Sex: f Institution: MNRJ Museu Nacional Universidade do Rio Janeiro, Brazil Photographer: Antonio Santos-Silva Collection Location: Parque Sooretama, Linhares, Espirito Santo, Brazil 99300
|
 Zajciw MNRJ Parque Sooretama, Espirito Santo, Brazil SS.jpg)
Specimen Type: holotype Sex: f Institution: MNRJ Museu Nacional Universidade do Rio Janeiro, Brazil Photographer: Antonio Santos-Silva Collection Location: Parque Sooretama, Linhares, Espirito Santo, Brazil 99301
|
 Zajciw MNRJ Parque Sooretama, Espirito Santo, Brazil SS.jpg)
Specimen Type: holotype Sex: f Institution: MNRJ Museu Nacional Universidade do Rio Janeiro, Brazil Photographer: Antonio Santos-Silva Collection Location: Parque Sooretama, Linhares, Espirito Santo, Brazil 99302
|
 Zajciw MNRJ Parque Sooretama, Espirito Santo, Brazil SS.jpg)
Specimen Type: holotype Sex: f Institution: MNRJ Museu Nacional Universidade do Rio Janeiro, Brazil Photographer: Antonio Santos-Silva Collection Location: Parque Sooretama, Linhares, Espirito Santo, Brazil 99303
|
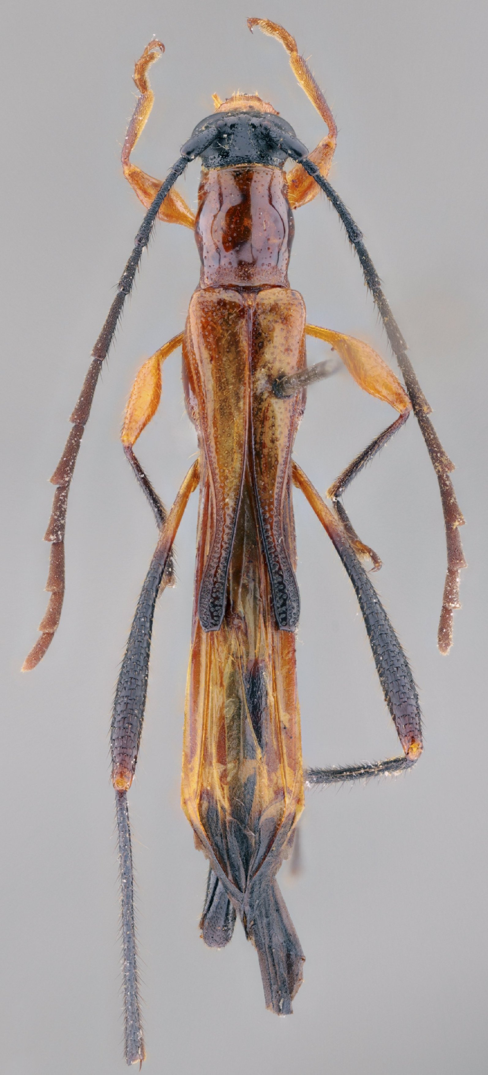
_Zajciw_MZSP_Linhares_ES_Brazil.jpg)
Specimen Type: holotype Sex: f Institution: MZSP Museu de Zoologia da Universidade de São Paulo, Brazil Photographer: Larry G. Bezark Collection Location: Linhares, Espirito Santo, Brazil 33541
|
|