
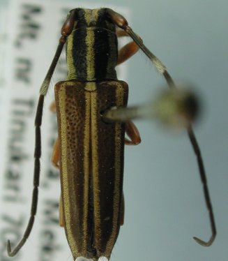
Specimen Type: holotype Institution: MNHN Museum of Natural History Paris, France Photographer: Meiying Lin Collection Location: New Caledonia 67530
|
_Pascoe_BMNH_Menado_Sulawesi_now_montrouz_LGB.jpg)
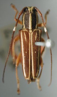
Glenea latania Pascoe Specimen Type: holotype Sex: f Institution: BMNH British Museum Natural History, London, UK Photographer: Larry G. Bezark Collection Location: Menado, Macassar, Sulawesi 47790
|

Glenea latania Pascoe Institution: LIPI Lembaga Ilmu Pengetahuan, Bogor, Indonesia Photographer: Larry G. Bezark Determiner: Makihara Collection Location: Dumoga Bone National Park, Sulawesi Utara 43668
|
_Dumoga_Bone_NP_Sulawesi_Utara_detMakihara_LIPI_LGB.jpg)
Glenea latania Pascoe Institution: LIPI Lembaga Ilmu Pengetahuan, Bogor, Indonesia Photographer: Larry G. Bezark Determiner: Makihara Collection Location: Dumoga Bone National Park, Sulawesi Utara 43669
|

Glenea latania Pascoe Institution: LIPI Lembaga Ilmu Pengetahuan, Bogor, Indonesia Photographer: Larry G. Bezark Determiner: Makihara Collection Location: Dumoga Bone National Park, Sulawesi Utara 43670
|

Glenea montrouzieri celebica Thomson Institution: LGBC Larry G. Bezark Collection, Sacramento, California, USA Photographer: Larry G. Bezark Determiner: Jerome Sudre, Cerambycoidea Forum Collection Location: SE Sulawesi 50270
|

Glenea montrouzieri celebica Thomson Institution: LGBC Larry G. Bezark Collection, Sacramento, California, USA Photographer: Larry G. Bezark Determiner: Jerome Sudre, Cerambycoidea Forum Collection Location: SE Sulawesi 50271
|

Photographer: Philippe Jacquot, Cerambycoidea Forum Collection Location: Sulawesi 49808
|
|