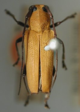
_Pascoe_BMNH_Dorey_PNG_LGB.jpg)
Specimen Type: holotype Institution: BMNH British Museum Natural History, London, UK Photographer: Larry G. Bezark Collection Location: Dorey Island, Papua New Guinea 47831
|

Glenea danae Gahan Specimen Type: holotype Institution: MCSN Museo Civico di Storia Naturale, Genova, Italy Photographer: Meiying Lin Collection Location: Wa Samson, Papua New Guinea 67528
|

Institution: BMNH British Museum Natural History, London, UK Photographer: Larry G. Bezark Collection Location: Mimika River, Papua New Guinea 47832
|
|