_Br_BMNH_Merang_Sumatra_Borneo_LGB.jpg)
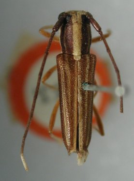
Specimen Type: holotype Sex: f Institution: BMNH British Museum Natural History, London, UK Photographer: Larry G. Bezark Collection Location: Merang, Sumatra 47827
|
_Br_BMNH_Merang_Sumatra_Borneo_LGB.jpg)
Specimen Type: holotype Sex: f Institution: BMNH British Museum Natural History, London, UK Photographer: Larry G. Bezark Collection Location: Merang, Sumatra 47828
|