_Pascoe_BMNH_Waigeo_PNG_now melissa_vanessa_LGB.jpg)
Glenea vanessa Pascoe Specimen Type: holotype Sex: f Institution: BMNH British Museum Natural History, London, UK Photographer: Larry G. Bezark Collection Location: Waigeo, Papua New Guinea 48017
|
_Pascoe.jpg)
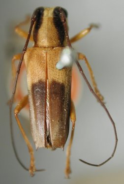
Glenea vanessa Pascoe Specimen Type: holotype Sex: f Institution: BMNH British Museum Natural History, London, UK Collection Location: Waigeo, Papua New Guinea 50066
|