
Stibara mathematica Thomson Specimen Type: holotype Institution: MNHN Museum of Natural History Paris, France Photographer: Meiying Lin Collection Location: Singapore 67515
|

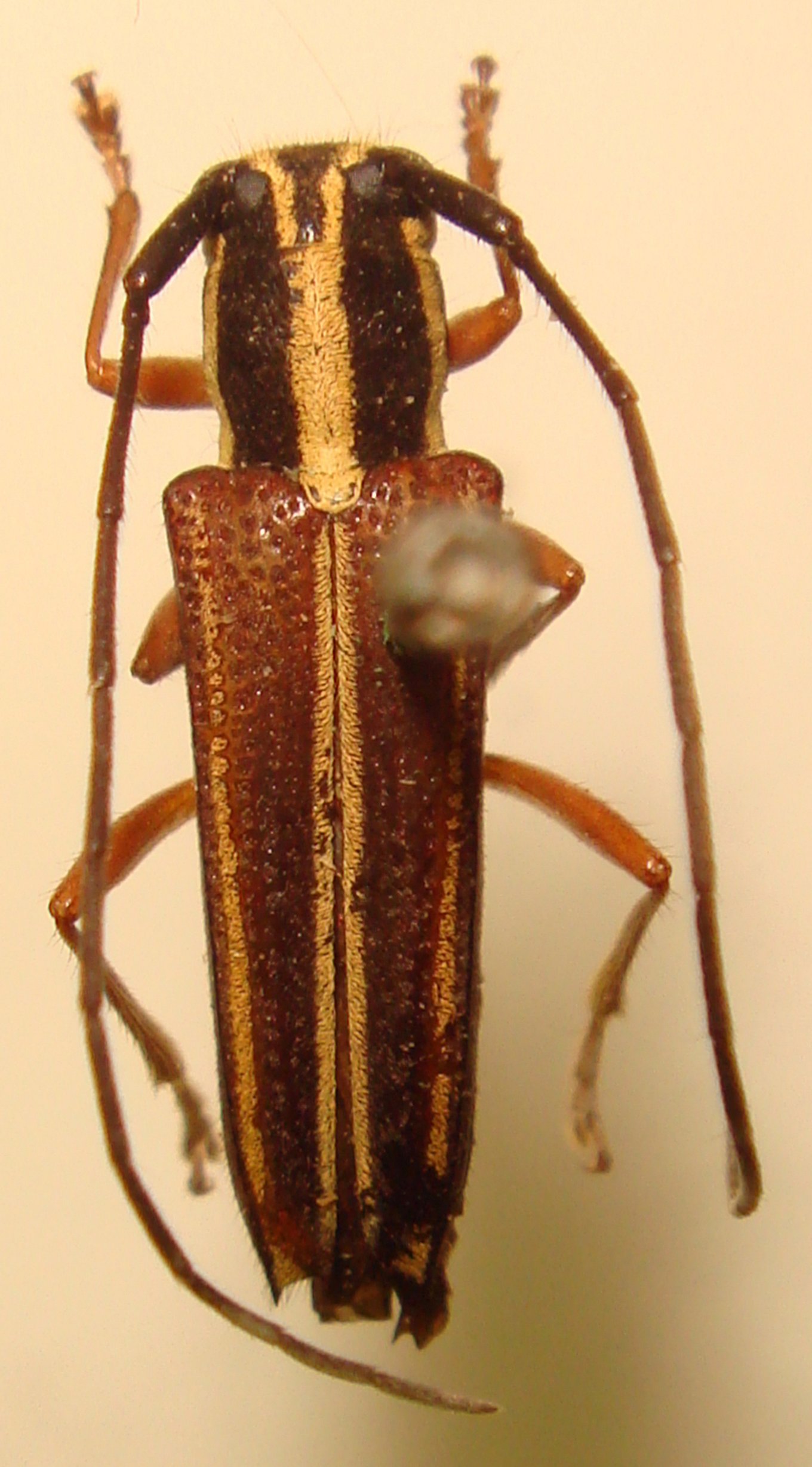
Institution: MNHN Museum of Natural History Paris, France Photographer: Meiying Lin Collection Location: Singapore 67516
|

Determiner: Pacific Insects Monograph Collection Location: Batoe Island, Laos 49783
|
_mathematica_(Thomson)_CAS.jpg)
Institution: CAS California Academy of Sciences, San Francisco, CA, USA Photographer: Larry G. Bezark 41698
|
_mathematica_Thomson_W._Java_Makihara.jpg)
Photographer: Makihara Collection Location: West Java 41699
|
_mathematica_(m)_Thomson_Java_Baturaden.jpg)
Sex: m Photographer: Makihara Collection Location: Baturaden, Java 41700
|