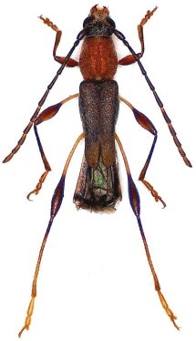
_Gounelle_MNHN_FTH.jpg)
Specimen Type: syntype Institution: MNHN Museum of Natural History Paris, France Collection Location: Jatai, Goias, Brazil 16942
|
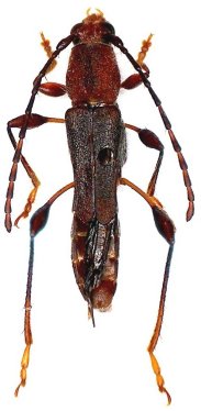
_Gounelle_BMNH_Hespenheide_FTH.jpg)
Specimen Type: syntype Institution: BMNH British Museum Natural History, London, UK Photographer: Henry Hespenheide Collection Location: Jatai, Goias, Brazil 16941
|
_Fuchs_NMBH_Rondon_Parana_Braz_H_Schmid.jpg)
Ischasia crassitarsis atrocephala Fuchs Specimen Type: holotype Sex: m Institution: NHMB Naturhistorisches Museum, Basel, Switzerland Photographer: Herbert Schmid Collection Location: Rondon, Parana, Brazil 37115
|
_Fuchs_NMBH_Rio_Caraguata_MS_Braz_H_Schmid.jpg)
Ischasia crassitarsis nigrovittata Fuchs Specimen Type: holotype Sex: m Institution: NHMB Naturhistorisches Museum, Basel, Switzerland Photographer: Herbert Schmid Collection Location: Rio Caraguata, Mato Grosso do Sol, Brazil 37116
|
_Fisher_AMNH_Corupa_SC_Braz_Amy_Berkov_=_Ischasioides_crass.jpg)
Ommata brasiliensis Fisher Specimen Type: holotype Sex: m Institution: AMNH American Museum of Natural History, New York, NY, USA Photographer: Amy Berkov Collection Location: Corupa, Santa Catarina, Brazil 37130
|
_Fisher_AMNH_Corupa_Santa_Catarina_Brazil.jpg)
Ommata brasiliensis Fisher Specimen Type: holotype Sex: m Institution: AMNH American Museum of Natural History, New York, NY, USA Collection Location: Corupa, Santa Catarina, Brazil 27875
|

Institution: CAS California Academy of Sciences, San Francisco, CA, USA Photographer: Larry G. Bezark Collection Location: Nova Teutonia, Santa Catarina, Brazil 11087
|
|